Locale commerciale in Vendita

€ 295.000
1
250 m²
3
T

Nota

Annuncio aggiornato il 09/07/2025
Descrizione

riferimento: Negozio Bici Risorgimento

Negozio

A Sesto San Giovanni, in mini palazzina edificata negli anni '70 e completamente ristrutturata nel 2000 proponiamo in vendita al piano terra ampio negozio di MQ 250, in ottime condizioni interne, attualmente utilizzato come negozio per rivendita e riparazione di biciclette.
La proprietà gode di tre posti auto coperti.
La zona è centrale e di passaggio, vicino al Viale Casiraghi, al Viale Matteotti ed alla Via Rovani; le vie più trafficate di Sesto S.G.
A pochi passi dalla fermata della metropolitana MM Sesto Rondò e dal supermercato "Esselunga" e dai principali servizi della città.
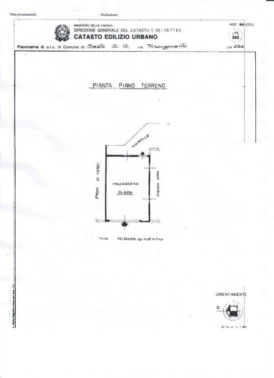
Possibilità inoltre di acquistare magazzino attiguo di MQ. 80, escluso dal prezzo di vendita ad € 80.000,00 (vedi planimetria)

" DA VISIONARE "
Caratteristiche
Contratto
Vendita
Tipologia
Locale commerciale
Superficie
250 m²
Locali
1 locale, 3 bagni - uno o più adatto a persone disabili, doppio ingresso
Piano
Piano terra, con accesso disabili
Piani edificio
2
Altezza soffitti
3,7 m
Vetrine
2 vetrine su strada, 8 m lineari
Box, posti auto
2 in box privato/box in garage
Disponibilità
Libero
Altre caratteristiche
  • Antincendio a idranti
  • Cablato
  • Luci d'emergenza
  • Parzialmente Arredato
  • Passo carrabile
  • Saracinesche automatiche
  • Saracinesche manuali
  • Uscita emergenza
Dettaglio superficie

Negozio - Locale commerciale

Piano
Piano terra
Superficie
250,0 m²
Coefficiente
100%
Tipo superficie
Principale
Sup. commerciale
250,0 m²
Informazioni sul prezzo
Prezzo
€ 295.000
Prezzo al m²
1.180 €/m²
New
Dettaglio dei costi
Spese condominio
€ 30/mese
Efficienza energetica

Consumo di energia

≥ 3,51 kWh/m² annoG

Planimetria
Negozio Zampella Plan
Scheda
Scopri ogni angolo dell'immobile
+24
Opzioni aggiuntive

Contatta l'inserzionista

Oppure