Terreno edificabile in Vendita

€ 114.000
569 m²

Nota

Annuncio aggiornato il 08/11/2025
Descrizione

riferimento: 7200877

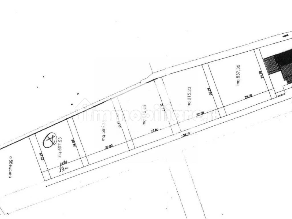
Lotti Edificabili in Zona Residenziale: Ideali per la Vostra Nuova Casa

Situati in una tranquilla zona residenziale, proponiamo lotti edificabili già urbanizzati e frazionati, con la possibilità di ulteriori divisioni, offrendo un'opportunità unica per realizzare la vostra nuova casa esattamente come desiderate.

Caratteristiche Principali:

Lotti edificabili già urbanizzati e pronti per essere costruiti.
Ideali per la costruzione di villette, appartamenti in villa o piccoli contesti residenziali.
Possibilità di acquisto da 570 a 2500 mq circa, per soddisfare le vostre esigenze di spazio e progettazione.
Pronti per la Costruzione della Vostra Casa dei Sogni:
Questa proprietà si presenta pronta per essere edificata, offrendo la possibilità di creare la casa perfetta per voi e la vostra famiglia, in un ambiente tranquillo e ben servito.

Per visite, informazioni, valutazioni gratuite e proposte immobiliari contattateci al 351/o al 0373/633890.
Ci trovate in Via De Gasperi 33, Offanengo!
In alternativa scrivete una e-mail all'indirizzo offanengo.studiocasa@gmail.com con la Vostra richiesta, verrete ricontattati in meno di 48 ore!

Visitate il nostro sito e seguiteci sui nostri social per rimanere sempre aggiornati:
Facebook (@Studio casa - Offanengo)
Instagram (@studiocasa.offanengo)
Youtube (@studiocasaoffanengo)
TikTok (@studiocasaoffanengo)
Se vuoi saperne di più, puoi parlare con Studio Casa Offanengo ..
Caratteristiche
Contratto
Vendita
Tipologia
Terreno edificabile
Superficie
569 m²
Disponibilità
Libero
Altre caratteristiche
  • Allaccio acqua
  • Allaccio elettricità
  • Allaccio fogne
  • Allaccio gas
  • Esposizione nord, sud, est, ovest
Informazioni sul prezzo
Prezzo
€ 114.000
Prezzo al m²
200 €/m²
New
Scopri ogni angolo dell'immobile
+7
Inserzionista
scheda agenzia
Opzioni aggiuntive

Contatta l'inserzionista

Oppure