Terreno edificabile in Vendita

€ 29.900
1.680 m²

Nota

Annuncio aggiornato il 20/06/2024
Descrizione

riferimento: EK-112689173

TERRENO EDIFICABILE IN ZONA RESIDENZIALE

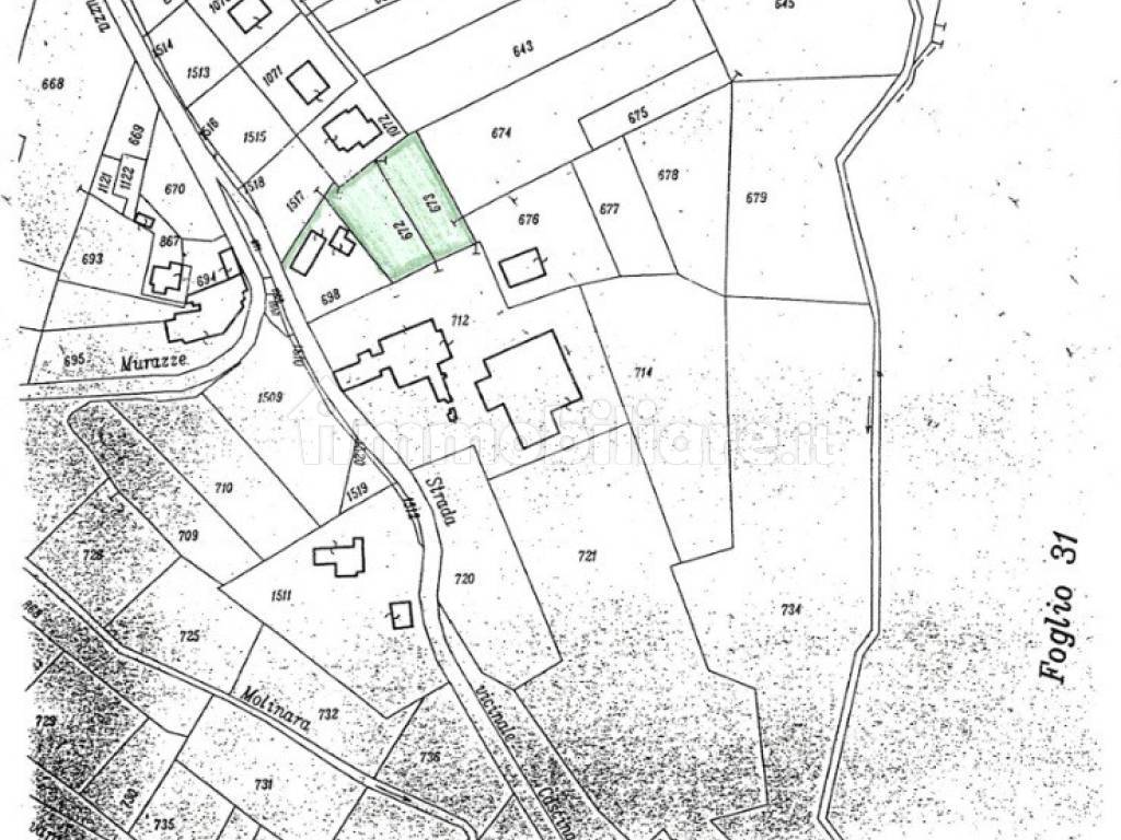
Proponiamo in vendita in Cossato, Via Paruzza, terreno edificabile di circa 1.680 mq totali, in zona residenziale, tranquilla ed immersa nel verde, ma al tempo stesso comoda a raggiungere la superstrada. Il terreno è composto da una parte di terreno edificabile di circa 860 mq ed una parte di terreno dove è possibile costruire una piscina, dei locali accessori (garage o tettoie) oppure, in un secondo momento utilizzarlo per un ampliamento dell'abitazione.
Sulla strada comunale sono già presenti gli allacci per la luce, l'acqua e la fognatura comunale, questo agevola la creazione delle utenze per il terreno stesso.
Caratteristiche
Contratto
Vendita
Tipologia
Terreno edificabile
Superficie
1.680 m²
Disponibilità
Libero
Qualificazione urbanistica
Singola unità
Dislivello terreno
Leggero
Altezza massima edificabile
7,5 m
Area edificabile
860 m²
Accesso in strada/servitù di passaggio
In strada sterrata
Altre caratteristiche
  • Illuminazione pubblica
Informazioni sul prezzo
Prezzo
€ 29.900
Prezzo al m²
18 €/m²
New
Planimetria
Schermata 2024-06-20 alle 11.41.07
Schermata 2024-06-20 alle 11.46.12
Schermata 2024-06-20 alle 11.46.17
Schermata 2024-06-20 alle 11.54.55
Scopri ogni angolo dell'immobile
+8
Opzioni aggiuntive

Contatta l'inserzionista

Oppure