Terreno agricolo in Vendita

€ 55.000
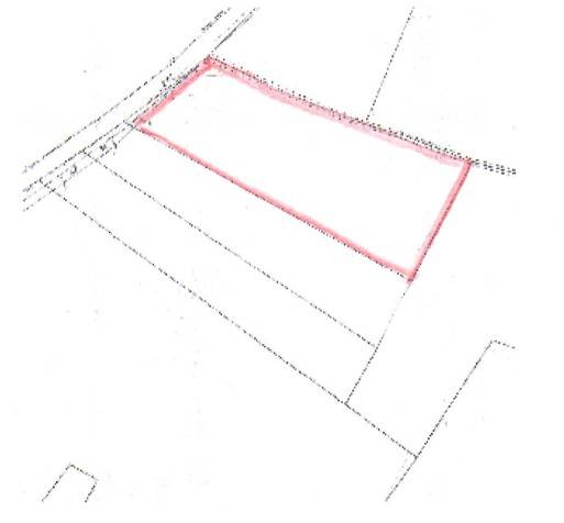
5.310 m²

Nota

Annuncio aggiornato il 04/09/2025
Descrizione

riferimento: CAR-TER

Terreno agricolo con accesso diretto – 5.310 mq recintati

Proponiamo in vendita terreno agricolo di 5.310 mq, completamente recintato e situato in una posizione tranquilla ma comodamente raggiungibile. Il lotto, in gran parte pianeggiante, presenta una leggera pendenza naturale, ideale per l’ottimizzazione dell'irrigazione e per favorire un drenaggio efficiente, rendendolo perfetto per diverse coltivazioni o attività agricole specializzate.

Punto di forza: accesso diretto da strada asfaltata, che garantisce la massima praticità per l’ingresso di mezzi agricoli e il trasporto di attrezzature, senza alcun ostacolo logistico.

È inoltre possibile valutare la vendita frazionata, una soluzione flessibile per chi desidera investire in porzioni più contenute o adattare l’acquisto a specifiche esigenze progettuali.

Un’opportunità concreta per chi è alla ricerca di spazio, funzionalità e potenziale agricolo, in una zona strategica e facilmente accessibile.

Per maggiori informazioni:
Tel. 039 511409
Visita il nostro sito: www.ametiacase.it
Il presente annuncio ha valore puramente indicativo e non costituisce elemento contrattuale.
Se vuoi saperne di più, puoi parlare con Amerigo Pagnoncelli.

Di solito risponde entro 12 ore

Caratteristiche
Contratto
Vendita
Tipologia
Terreno Agricolo
Superficie
5.310 m²
Disponibilità
Libero
Dislivello terreno
Leggero
Accesso in strada/servitù di passaggio
In strada asfaltata
Altre caratteristiche
  • Illuminazione pubblica
  • Recintato
Informazioni sul prezzo
Prezzo
€ 55.000
Prezzo al m²
10 €/m²
New
Planimetria
Virtual tour
Scopri ogni angolo dell'immobile
+22
Inserzionista

Amerigo Pagnoncelli

scheda agenzia
Opzioni aggiuntive

Contatta l'inserzionista

Oppure

Amerigo Pagnoncelli