Terreno edificabile in Vendita

€ 90.000
800 m²

Nota

Annuncio aggiornato il 29/05/2025
Descrizione

riferimento: EM1283

Terreno di 800 mq con progetto approvato a Camporosso

Terreno di 800 mq con progetto approvato a Camporosso – zona collinare con accesso comodo
In vendita a Camporosso terreno di 800 mq con progetto approvato per costruire 60 mq residenziali e 80 mq di magazzino. Oneri già pagati. Ottima occasione a € 90.000.

Località: Camporosso (IM) – zona collinare
Superficie terreno: 800 mq
Progetto approvato per:
• 60 mq di abitazione residenziale
• 80 mq di magazzino
Accesso: comodo e diretto da strada asfaltata
Oneri di urbanizzazione: già pagati
Prezzo richiesto: € 90.000

In posizione tranquilla e soleggiata nella collina di Camporosso, a pochi minuti dal centro e dai principali servizi, proponiamo in vendita un terreno edificabile di 800 mq con progetto edilizio già approvato e oneri di urbanizzazione totalmente saldati.
Il progetto prevede la costruzione di 60 mq di abitazione residenziale, ideale come prima casa o casa vacanza, e 80 mq di magazzino al piano sottostante.
Il terreno è facilmente accessibile da strada comunale, con ottima esposizione solare e vista aperta sulla vallata. La posizione collinare garantisce privacy e tranquillità, restando comunque a breve distanza da Bordighera, Ventimiglia e il mare.

Punti di forza
Progetto già approvato → risparmio di tempo e burocrazia
Oneri già pagati → investimento pronto per partire con i lavori
Accesso comodo → non servono lavori di urbanizzazione primaria
Posizione panoramica e tranquilla, ma vicina al centro
Ideale per chi cerca una casa indipendente a costo contenuto
Ottima soluzione anche per costruttori e investitori locali

Contattaci subito per visionare il progetto e organizzare una visita in loco.
Se vuoi saperne di più, puoi parlare con Ivan Maccario.
Caratteristiche
Contratto
Vendita
Tipologia
Terreno edificabile
Superficie
800 m²
Disponibilità
Libero
Qualificazione urbanistica
Singola unità
Dislivello terreno
Leggero
Altezza massima edificabile
12 m
Area edificabile
140 m²
Accesso in strada/servitù di passaggio
In strada asfaltata
Altre caratteristiche
  • Allaccio acqua
  • Allaccio elettricità
  • Allaccio fogne
  • Allaccio gas
  • Illuminazione pubblica
  • Recintato
Informazioni sul prezzo
Prezzo
€ 90.000
Prezzo al m²
113 €/m²
New
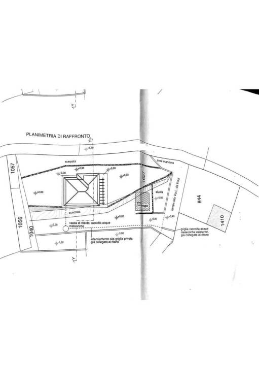
Planimetria
1 terreno camporosso iv12837
1 terreno camporosso iv12838
Virtual tour
Scopri ogni angolo dell'immobile
+6
Opzioni aggiuntive

Contatta l'inserzionista

Oppure