Terreno edificabile in Vendita

€ 650.000
12.000 m²

Nota

Annuncio aggiornato il 30/04/2025
Descrizione

riferimento: T.645

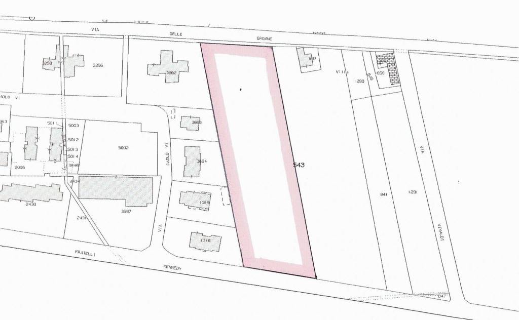
VENDESI TERRENO EDIFICABILE DI 12.000 MQ CON 9.900 MC CIRCA

BAGNATICA. Vendesi terreno edificabile residenziale da lottizzare di 12.000 mq circa con la possibilità edificatoria di 3.300 mq di SLP circa, pari a 9.900 mc circa. Il lotto di terreno in questione confina con la recente zona residenziale edificata qualche anno fa. IMMOBILIARE CORTESI RAFFAELLA - LA GARANZIA PER VENDERE ACQUISTARE O AFFITTARE IL TUO IMMOBILE - Trescore Balneario Via Locatelli 38 - Telefono ufficio Vendita 035/4258724 - Cellulare 339/2110657 - Se devi vendere o affittare il tuo immobile ci pensiamo noi - Contattaci per una valutazione gratuita - Per le nostre offerte visita il Sito Internet: www.immobiliarecortesiraffaella.it
Se vuoi saperne di più, puoi parlare con Raffaella Cortesi.

Di solito risponde entro 1 giorno

Caratteristiche
Contratto
Vendita
Tipologia
Terreno edificabile
Superficie
12.000 m²
Disponibilità
Libero
Qualificazione urbanistica
Unità multiple
Dislivello terreno
Leggero
Altezza massima edificabile
6 m
Area edificabile
3.300 m²
Accesso in strada/servitù di passaggio
In strada asfaltata
Informazioni sul prezzo
Prezzo
€ 650.000
Prezzo al m²
54 €/m²
New
Planimetria
ESTRATTO DI MAPPA LOTTO TERRENO
Scopri ogni angolo dell'immobile
+10
Opzioni aggiuntive

Contatta l'inserzionista

Oppure