Bilocale via Armando Diaz 26, San Benedetto dei Marsi

€ 29.000
2
111 m²
1
R
No
Parzialmente Arredato
Cantina

Nota

Annuncio aggiornato il 08/10/2025
Descrizione

riferimento: San Benedetto dei marsi

Appartamento in vendita zona centrale

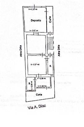
ABRUZZO (AQ) SAN BENEDETTO DEI MARSI vendesi casa/villino bifamiliare semi-indipendente in zona centrale, Via Armando Diaz, libera su 2 lati, così suddiviso: ingresso, veranda, bagno, soggiorno, 1 camera matrimoniale, cucinotto, deposito/garage, caldaia per riscaldamento autonomo ed acqua sanitaria, infissi e persiane di legno, poi troviamo nella parte interrata, con accesso da una scala in comune, una porta di ingresso con accesso a due ampie cantine/ambienti. Come lavori di manutenzione è stato rifatto il tetto della casa e del locale deposito/garage. Gli impianti sono funzionanti conformi all’anno di costruzione ma senza certificazioni.
I metri quadri totali catastali sono circa mq. 111 tra il piano abitativo al piano terra ed i locali cantina al piano interrato.
Luce - acqua e gas arrivano alla casa.

*** L'abitazione è sita a San Benedetto dei Marsi a pochi km da Ovindoli, Pescasseroli ed il Parco Nazionale d'Abruzzo ed altre località.***

***I Dettagli, le Foto e le Piantine sono puramente indicative e non costituiscono presupposto contrattuale.***
Se vuoi saperne di più, puoi parlare con Christian Angiolini.
Caratteristiche
Tipologia
Appartamento | Intera proprietà | Classe immobile media
Contratto
Vendita
Piano
Piano rialzato
Piani edificio
2
Ascensore
No
Superficie
111 m²
Locali
2
Camere da letto
1
Cucina
Cucina cucinotto
Bagni
1
Arredato
Parzialmente Arredato
Balcone
No
Terrazzo
No
Box, posti auto
1 in box privato/box in garage
Riscaldamento
Autonomo, a radiatori, alimentato a gas
Altre caratteristiche
  • Esposizione esterna
  • Infissi esterni in vetro / metallo
  • Taverna
  • Impianto tv singolo
Dettaglio superficie

Abitazione

Piano
Piano rialzato
Superficie
111,0 m²
Coefficiente
100%
Tipo superficie
Principale
Sup. commerciale
111,0 m²
Informazioni sul prezzo
Prezzo
€ 29.000
Prezzo al m²
261 €/m²
New
Dettaglio dei costi
Spese condominio
Nessuna spesa condominiale
Efficienza energetica

Consumo di energia

501.04 kWh/m² annoG

Planimetria
san-benedetto-dei-marsi-via-armando-diaz
Scopri ogni angolo dell'immobile
+34
Opzioni aggiuntive

Contatta l'inserzionista

Oppure