Terreno edificabile in Vendita

€ 79.000
135 m²

Nota

Annuncio aggiornato il 23/04/2025
Descrizione

riferimento: 61050575

TERRENO EDIFICABILE IN CENTRO

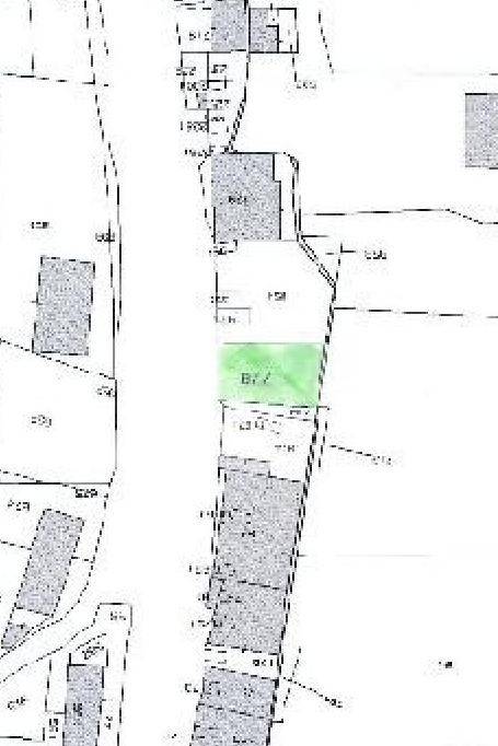
In pieno centro a Formello, in Via Roma, proponiamo in vendita un terreno edificabile di 135 mq con indice di edificabilità 2 mc/mq, per un totale di 270 mc, equivalenti a circa 85 mq edificabili.
Il lotto è ideale per chi desidera costruire una piccola abitazione indipendente in centro o per chi è interessato all’acquisto di cubatura da trasferire su altri lotti edificabili nel territorio comunale di Formello, secondo le norme vigenti.
Punti di forza sono l’ottima posizione, servita, comoda e centrale vicino a tutti i principali servizi a pochi passi a piedi.
Tutta la documentazione è in regola.
Formello è un incantevole paesino che si trova solamente a mezz’ora da Roma, nel cuore del Parco di Veio ed è un borgo dall’atmosfera davvero suggestiva, perfetto per chi vuole vivere in tranquillità e lontano dal caos, ma senza rinunciare alla vicinanza dei principali servizi a pochi passi da Roma.
Se vuoi saperne di più, puoi parlare con Federico Masci ..

Di solito risponde entro 2 giorni

Caratteristiche
Contratto
Vendita
Tipologia
Terreno edificabile
Superficie
135 m²
Disponibilità
Libero
Qualificazione urbanistica
Singola unità
Dislivello terreno
Leggero
Altezza massima edificabile
2,7 m
Area edificabile
85 m²
Accesso in strada/servitù di passaggio
In strada asfaltata
Altre caratteristiche
  • Illuminazione pubblica
  • Recintato
Informazioni sul prezzo
Prezzo
€ 79.000
Prezzo al m²
585 €/m²
New
Planimetria
Planimetria
Virtual tour
Scopri ogni angolo dell'immobile
+15
Opzioni aggiuntive

Contatta l'inserzionista

Oppure