Villa plurifamiliare via Antonio Vivaldi, Marne, Filago

€ 275.000
5
170 m²
3
No
Balcone
Cantina

Nota

Annuncio aggiornato il 16/09/2025
Descrizione

riferimento: V002886

VILLA A SCHIERA

Descrizione

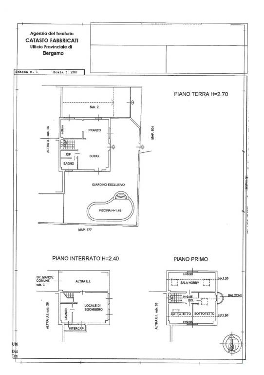
In vendita VILLA di TESTA a FILAGO, nella tranquilla zona di Marne, proponiamo una splendida VILLA a SCHIERA di circa 170 metri quadrati totali con doppio ingresso, libera al rogito e in OTTIMO stato di conservazione.

Costruita nel 2000, RISTRUTTURATA nel 2019 la proprietà si sviluppa su due livelli ed è dotata di tutti i comfort necessari per una vita confortevole.
L'ingresso principale si apre su un ampio soggiorno luminoso dotato di STUFA a PELLET, caratterizzato da grandi finestre, una cucina abitabile perfetta per momenti conviviali in famiglia o con amici, un servizio con disimepgno e ripostiglio.

Dal soggiorno si accede ad un AMPIA VERANDA CON ZANZARIERE E CHIUSURE LATERALI IN PVC diventando così giardino di inverno, ideale per godersi la vista e il sole con esposizone SUD-EST.
La scala interna completamente in legno con binario su pedata anti-scivolo da cui si accede alla zona notte composta da 3 camere complete di velux: una camera matrimoniale con balconcino a mezza luna e velux motorizzata, cameretta, più studio, un bagno ampio con vasca IDROMASSAGGIO.

La villa dispone anche di un GIARDINO PRIVATO curato nei minimi dettagli CON PISCINA motore e salinatore automatico,completa di doccia solare con acqua calda, perfetto per trascorrere piacevoli momenti all'aria aperta
e di un BOX AUTO DOPPIO IN LUNGHEZZA PIASTRELLATO, ideale per parcheggiare comodamente due automobili.

Inoltre, completano la proprietà una lavanderia con TAVERNA FINESTRATA con STUFA A PELLET con accesso al DOPPIO BOX DOTATA DI BASCULANTE ELETTRICA.

Numerosi accessori creano un perfetto confort, riscaldmento autonomo con termostato su ogni piano controllato a distanza con app.
Infissi con zanzariere e PVC in doppio vetro, inferiate, porte scorrevoli in legno e vetro satinato, porta blindata di ingresso.

Non perdere l'opportunità di acquistare questa splendida villa a schiera, ideale per chi desidera una soluzione abitativa moderna e confortevole in una zona tranquilla ma ben collegata ai principali servizi e alle vie di comunicazione.

POSSIBILITA' DI UN SECONDO DOPPIO BOX IN LUNGHEZZA CON BASCULANTE ELETTRICA.

PER INFORMAZIONI E VISIONE CONTATTATECI AL NUMERO DIRETTO 02/38236174 - 339/2955559
EMAIL: immobil.go@gmail.com
PER VALUTARE LE NOSTRE OFFERTE CONSULTATE IL SITO INTERNET:www.immobilgo.net
Se vuoi saperne di più, puoi parlare con Giuseppe Gorgoglione.
Caratteristiche
Tipologia
Villa plurifamiliare | Intera proprietà | Immobile di lusso
Contratto
Vendita
Piano
Piano terra
Piani edificio
1
Ascensore
No
Superficie
170 m²
Locali
5
Camere da letto
3
Cucina
Cucina abitabile
Bagni
3
Arredato
No
Balcone
Terrazzo
No
Box, posti auto
2 in box privato/box in garage
Riscaldamento
Autonomo, a radiatori, alimentato a metano
Climatizzazione
Autonomo, freddo/caldo
Altre caratteristiche
  • Armadio a muro
  • Esposizione interna
  • Idromassaggio
  • Impianto di allarme
  • Infissi esterni in doppio vetro / PVC
  • Porta blindata
  • Taverna
  • Cancello elettrico
Dettaglio superficie

Abitazione

Piano
Piano terra
Superficie
170,0 m²
Coefficiente
100%
Tipo superficie
Principale
Sup. commerciale
170,0 m²
Informazioni sul prezzo
Prezzo
€ 275.000
Prezzo al m²
1.618 €/m²
New
Dettaglio dei costi
Spese condominio
€ 40/mese
Efficienza energetica

Consumo di energia

≥ 175 kWh/m² annoD

Planimetria
doc20250521170709_001
doc20250521170709_002
Scopri ogni angolo dell'immobile
+46
Inserzionista
Giuseppe Gorgoglione

Giuseppe Gorgoglione

scheda agenzia
Opzioni aggiuntive

Contatta l'inserzionista

Oppure
Giuseppe Gorgoglione

Giuseppe Gorgoglione