Terreno agricolo in Vendita

€ 22.000
4.940 m²

Nota

Annuncio aggiornato il 08/09/2025
Descrizione

riferimento: 61088363

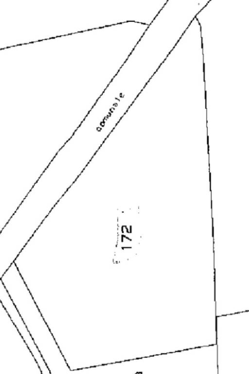
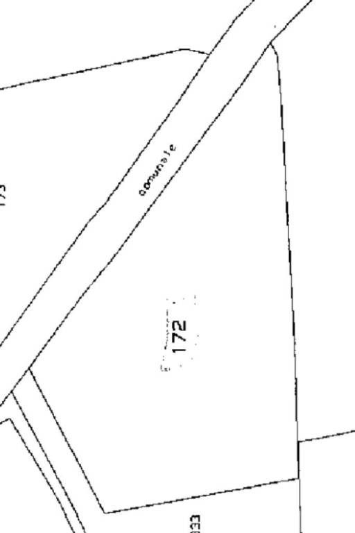
TERRENO AGRICOLO

PONTE BUGGIANESE - CASABIANCA

TERRENO AGRICOLO

Il terreno agricolo si trova nella zona di Casabianca, a breve distanza dai principali servizi e nelle immediate vicinanze delle principali arterie stradali.
La proprietà si sviluppa su una superficie totale di 4.940 mq ed è classificata con destinazione d’uso seminativo arborato, rendendola ideale per attività agricole, coltivazioni stagionali o piantumazioni specializzate.
L’accesso è agevole grazie a un collegamento diretto con strada asfaltata, che garantisce praticità negli spostamenti e nei lavori agricoli.
Grazie alla sua conformazione pianeggiante e all’ottima esposizione solare, il terreno si presta perfettamente alla realizzazione di impianti di alberi da frutto e la coltivazione di piante erbacee come cereali e ortaggi.

Fissa un appuntamento per vedere l'immobile chiamando allo 0572.636862 o inviando un'email a ptho5@tecnocasa.it oppure visita la nostra pagina Facebook.
L'indirizzo esposto è indicativo.
Se vuoi saperne di più, puoi parlare con Mariadomenica Carlucci ..

Di solito risponde entro 1 giorno

Caratteristiche
Contratto
Vendita
Tipologia
Terreno Agricolo
Superficie
4.940 m²
Disponibilità
Libero
Dislivello terreno
Leggero
Accesso in strada/servitù di passaggio
In strada asfaltata
Altre caratteristiche
  • Illuminazione pubblica
  • Seminativo
Informazioni sul prezzo
Prezzo
€ 22.000
Prezzo al m²
4 €/m²
New
Planimetria
Planimetria con foto
Planimetria senza foto
Virtual tour
Scopri ogni angolo dell'immobile
+19
Opzioni aggiuntive

Contatta l'inserzionista

Oppure