Villa bifamiliare via Martiri della Liberazione 69, Centro, Pozzuolo Martesana

€ 290.000
3
100 m²
2
Lusso
No
Terrazzo

Nota

Annuncio aggiornato il 07/11/2025
Descrizione

riferimento: Pozzuolo Martesana 290

PORZIONE DI VILLETTA IN PIENO CENTRO PAESE

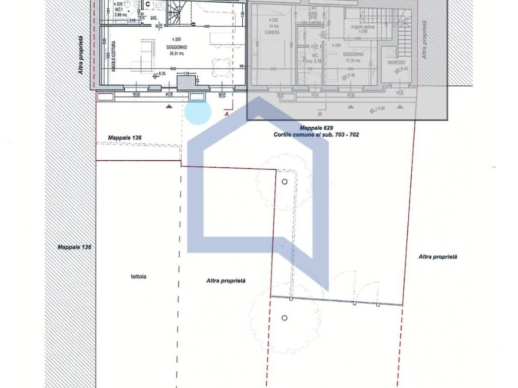
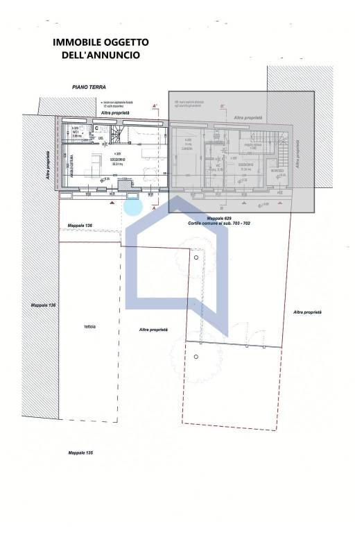
POZZUOLO MARTESANA- In pieno centro paese, proponiamo in vendita porzione di villetta parte di un fabbricato storico in fase di completa ristrutturazione, sviluppata su due piani e così composta:
Ingresso diretto nell'ampio soggiorno di c.a. 36 mq con cucina a vista, disimpegno e primo bagno al piano. Tramite scala interna si raggiunge la zona notte mansardata ed abitabile, ove sono poste le due camere da letto di ottime dimensioni, un comodo disimpegno ed il secondo bagno. Esternamente è presente una gradevole terrazza al piano terra e compreso con l'abitazione un terreno di circa 300mq in comproprietà con l'immobile adiacente, due bilocali al piano terra e primo, per un totale di tre abitazioni parte del mini-contesto. La classe energetica è in fase di definizione. Le abitazioni si distingueranno per godere dei più moderni comfort quali: riscaldamento autonomo a pavimento, cappotto termico, serramenti ad alte prestazioni termo-acustiche, impianto di climatizzazione e predisposizione per impianto fotovoltaico. La proprietà è collocata nel centro storico del paese, vi si accede da una via privata, molto riservata, a 500 metri dal polo ferroviario gestito da Tre-nord.
Previsione fine lavori entro fine anno ed anche il cortiletto esterno alle proprietà è in fase di completamento.

Ottima occasione, unica nel suo genere.

Il presente annuncio ha valore indicativo e non costituisce un elemento contrattuale.
Se vuoi saperne di più, puoi parlare con Simone Villa.
Caratteristiche
Tipologia
Villa bifamiliare | Intera proprietà | Classe immobile signorile
Contratto
Vendita
Piano
Piano terra, 1
Piani edificio
2
Ascensore
No
Superficie
100 m²
Locali
3
Camere da letto
2
Cucina
Cucina a vista
Bagni
2
Arredato
No
Balcone
No
Terrazzo
Riscaldamento
Autonomo, a pavimento, alimentato a pompa di calore
Climatizzazione
Autonomo, freddo/caldo
Altre caratteristiche
  • Esposizione esterna
  • Mansarda
  • Porta blindata
  • Cancello elettrico
  • Impianto tv singolo
  • VideoCitofono
Dettaglio superficie

Abitazione

Piano
Piano terra
Superficie
50,0 m²
Coefficiente
100%
Tipo superficie
Principale
Sup. commerciale
50,0 m²

Abitazione

Piano
1
Superficie
50,0 m²
Coefficiente
100%
Tipo superficie
Principale
Sup. commerciale
50,0 m²
Informazioni sul prezzo
Prezzo
€ 290.000
Prezzo al m²
2.900 €/m²
New
Dettaglio dei costi
Spese condominio
Nessuna spesa condominiale
Efficienza energetica
  • Anno di costruzione

    2025
  • Stato

    Nuovo / In costruzione
  • Riscaldamento

    Autonomo, a pavimento, alimentato a pompa di calore
  • Climatizzatore

    Autonomo, freddo/caldo
Planimetria
doc01780220250702160700_001b
doc01780520250702160803_001B
doc01780420250702160755_001
Scopri ogni angolo dell'immobile
+5
Opzioni aggiuntive

Contatta l'inserzionista

Oppure