Azienda agricola all'asta Cascina Pozzo, Cassolnovo

da € 452.270,00
5+
20/11/2025
9.572 m²
T

Nota

Annuncio aggiornato il 28/08/2025
Descrizione

riferimento: PAVIA-20/11/2025-336/2019-Luna-4441117

Azienda agricola all'asta in Cascina Pozzo

Riferimento ; 4441117

Cassolnovo. La “Cascina Pozzo”

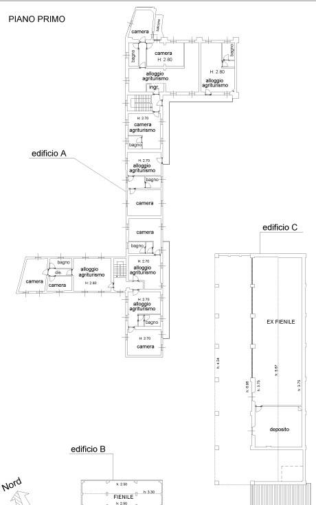
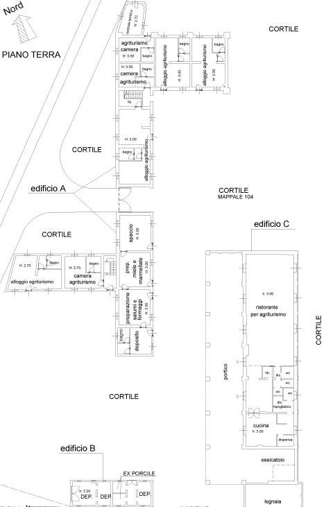
Azienda agricola composta da un insieme di fabbricati e terreni che costituiscono la “Cascina Pozzo” posta nell’ambito agricolo nord ovest del Comune di Cassolnovo. La “Cascina Pozzo” è costituita da vari fabbricati principali destinati, allo stato, all’attività di agri-turismo con presenza di alloggi, ristorante e spaccio per prodotti locali. Nel contesto della cascina è inserito altresì un edificio residenziale privato e ulteriori fabbricati strumentali per il ricovero di animali e deposito di mezzi agricoli. A completamento del compendio vi è un terreno agricolo, per buona parte cintato, con funzione di aia/cortile oltre ad altri terreni agricoli esterni attualmente uti-lizzati in parte per la produzione di ortaggi ed in parte boschivi a vegetazione spontanea.

Data di vendita 20/11/2025
Offerta minima 452.270,00 €
Valore perizia : 1.273.000,00 €

La data di vendita è molto vicina e pensi di non fare in tempo a partecipare? Rispondiamo tutti i giorni H24

Studio di Fattibilità Pre-Asta

Offriamo consulenza legale completa per l'acquisto tramite asta giudiziaria. I nostri servizi includono:

Ricerca dell'immobile secondo le esigenze del cliente
Studio di fattibilità pre-asta in fase di richiesta di visita
Studio di fattibilità del mutuo tramite banche convenzionate
Esame della perizia e documentazione correlata
Verifica legale
Preparazione e deposito delle offerte di partecipazione
Gestione della gara
Consulenza e documentazione post-aggiudicazione fino all'emissione del decreto di trasferimento o del rogito

Vi invitiamo a fissare una prima consulenza gratuita presso una delle nostre 80 sedi sparse su tutto il territorio per ricevere maggiori informazioni sul processo di partecipazione ad un'asta giudiziaria, tempistiche, costi e modalità di acquisto.

Ulteriore documentazione disponibile verrà messa a disposizione durante la consulenza.

‪+39 06 4006 1824‬

Visitate il nostro sito www.asteflorio.com dove potrete trovare più di 25.000 Aste disponibili e la nuova sezione dedicata agli NPL.
NB: Le immagini potrebbero essere solo esempi e non rappresentare gli immobili reali. Le coordinate geografiche, fornite automaticamente da Google, possono contenere inesattezze. Segnalate eventuali errori e rimuoveremo gli annunci non conformi.
L'ESATTEZZA DI TUTTI I DATI PUBBLICATI INOLTRE SARA' CONFERMATA IN SEDE DI CONSULENZA.
Se vuoi saperne di più, puoi parlare con Aste Florio.

Di solito risponde entro 12 ore

Caratteristiche
Contratto
Vendita | Immobile a reddito
Tipologia
Azienda agricola | Intera proprietà | Classe immobile media
Superficie
9.572 m²
Locali
5+ locali, 3+ bagni, cucina angolo cottura
Piano
Piano terra
Piani edificio
2
Disponibilità
Occupato
Dati catastali
Foglio 9 - Particella 104-21
Altre caratteristiche
  • Parzialmente Arredato
  • Balcone
  • Cantina
Dettaglio superficie

Azienda agricola

Piano
Piano terra
Superficie
9.572,0 m²
Coefficiente
100%
Tipo superficie
Principale
Sup. commerciale
9.572,0 m²
Efficienza energetica

Consumo di energia

≥ 175 kWh/m² annoG

Dettaglio vendite
Tipo vendita
Senza incanto
Data vendita
20/11/2025, 15:00
Stato
Partecipabile
Per partecipare
Offerta minima
€ 452.270,00
Spesa prenota debito
No
Contributo non dovuto
No
Referente
PAVIA-20/11/2025-336/2019-Luna-4441117
Dettagli lotto
Lotto numero
UNICO
Numero immobili
1
Categoria
IMMOBILE COMMERCIALE
Dati procedura
Aggiornato il
28/08/2025
Numero procedura
2019
Planimetria
Planimetrie
Planimetrie
Planimetrie
Planimetrie
Scopri ogni angolo dell'immobile
+9
Opzioni aggiuntive

Contatta l'inserzionista