Terreno agricolo in Vendita

€ 45.000
3.000 m²

Nota

Annuncio aggiornato il 07/10/2025
Descrizione

riferimento: 60894180

CARNATE - IN VENDITA - Terreno agricolo di ca 3.000 mq.

COSA SAPERE DELL'IMMOBILE
PER INFORMAZIONI ED APPUNTAMENTI CHIAMA 039 636 11 75
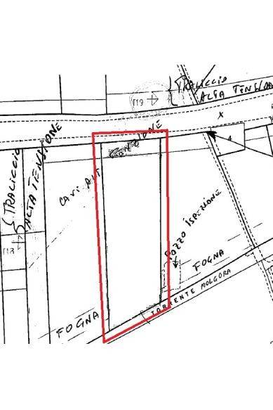
Il terreno agricolo che viene proposto esclusivamente in vendita sviluppa una superficie di circa 3.000 metri quadrati.
DESCRIZIONE E PARTICOLARITA'
La soluzione proposta in vendita è a destinazione d'uso agricolo e misura in totale 3.000 metri quadrati. Il terreno è accessibile tramite una strada semi asfaltata che poi diventa una strada sterrata. Il lotto presenta un leggero dislivello e NON possiede allaccio all'elettricità, al gas e alle fogne. Per l'allaccio acqua, a pochi metri scorre il Torrente Molgora da cui è possibile ricavare dell'acqua per irrigare il campo. C'è la possibilità di recintare il terreno.
UBICAZIONE E CONTESTO
L'area si trova nel Comune di Carnate.
Se vuoi saperne di più, puoi parlare con Industriale Vimercate Srl.

Di solito risponde entro 12 ore

Caratteristiche
Contratto
Vendita
Tipologia
Terreno Agricolo
Superficie
3.000 m²
Dislivello terreno
Leggero
Accesso in strada/servitù di passaggio
In strada asfaltata
Altre caratteristiche
  • Allaccio acqua
Informazioni sul prezzo
Prezzo
€ 45.000
Prezzo al m²
15 €/m²
New
Planimetria
planimetria
Scopri ogni angolo dell'immobile
+8
Opzioni aggiuntive

Contatta l'inserzionista

Oppure