Actividad comercial en Alquiler

€ 730/mes
No
2
70 m²
1
B

Nota

Anuncio actualizado el 12/01/2026
Descripción

referencia: ALICE

BUSTO ARSIZIO, CENTRO, NEGOZIO IN AFFITTO
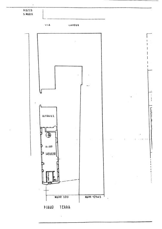
Busto Arsizio, Vicolo dell’Assunta, nel cuore del centro pedonale, proponiamo in locazione locale commerciale di 70 mq. disposto su due livelli: al piano terra negozio di mq. 47 e al piano interrato, collegato con scala interna, locale cantina di mq 40.
L'immobile ha accesso da Vicolo dell'Assunta ed espone, con quattro vetrine, sul delizioso vicolo, a 50 metri dalla centralissima Piazza Santa Maria. La distribuzione dei locali prevede un grande locale open space al piano terreno con spogliatoio e un bagno con antibagno. Ottime le condizioni interne, non sono necessari interventi di manutenzione. Impianto di aria condizionata. La soluzione si presta per essere utilizzata da studi legali/professionali, nonchè studi medici ed è adatto a tutte le attività commerciali. L'immobile è già libero.
Si deseas más información puedes hablar con Il Melograno Immobiliare Il Melograno Immobiliare.
Características
Contrato
Alquiler
Tipología
Actividad comercial | sin paredes
Superficie
70 m²
Habitaciones
2 habitaciones, 1 baño - uno o más adaptados para personas con discapacidad, doble entrada
Planta
Planta baja, con acceso para discapacitados
Plantas del edificio
2
Años de actividad
6 años
Equipamiento para la actividad
No incluido
Escaparates
4 escaparates a la calle
Disponibilidad
Libre
Otras características
  • Cable óptico
  • Detectores de incendios
  • Extintores automáticos de incendios
  • Luces de emergencia
  • Persianas manuales
  • Puerta cortafuegos
  • Salida de emergencia
  • Salida de vehículos
Detalle superficie

Tienda - Local comercial

Planta
Planta baja
Superficie
70,0 m²
Coeficiente
100%
Tipo de superficie
Principal
Superficie construida
70,0 m²
Información del precio
Precio
€ 730/mes
Precio del m²
10 €/m²
Desglose de los costes
Gastos de comunidad
€ 40/mes
Fianza
€ 2.100
Eficiencia energética

Consumo de energia

≥ 175 kWh/m² añoG

Plano
PIANTA NEGOZIO PIANO TERRA 1
PIANTA NEGOZIO INTERRATO 1
Descubre otros ángulos del inmueble
+22
Anunciante
agent male

Il Melograno Immobiliare Il Melograno Immobiliare

ficha de agencia
Opciones adicionales

Contactar con el anunciante

O
agent male

Il Melograno Immobiliare Il Melograno Immobiliare